3拍1484萬成功路【翔譽A+】雙囍特區︱集美商圈

最近更新:2026-04-13 12:10:35
  • 3拍1484萬成功路【翔譽A+】雙囍特區︱集美商圈圖片(1)
  • 3拍1484萬成功路【翔譽A+】雙囍特區︱集美商圈圖片(2)
  • 3拍1484萬成功路【翔譽A+】雙囍特區︱集美商圈圖片(3)
  • 3拍1484萬成功路【翔譽A+】雙囍特區︱集美商圈圖片(4)
  • 3拍1484萬成功路【翔譽A+】雙囍特區︱集美商圈圖片(5)
  • 3拍1484萬成功路【翔譽A+】雙囍特區︱集美商圈圖片(6)
點擊大圖可全螢幕觀看
一般戶租金 2,313.75萬 1,484
單價:56.72 萬/坪
押金:
格局
屋齡
11年8個月
公告坪數 詳細坪數
26.16坪
路名
新北市三重區
成功路104巷7之1號
社區
翔譽A+雙囍特區
物件編號
59120
法拍屋-258法拍網-吳小姐經紀業:金石房屋
請主動告知是從淘屋網(houseweb)得知物件資訊,謝謝您。
物件介紹

258法拍,司法院法拍屋公告同步更新
新北市三重區成功路104巷7之1號6樓【翔譽A+雙囍特區
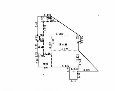
【坪數說明】
★ 總坪數26.16坪

★ 主建坪13.43坪

★ 附建坪3.26坪

★ 公設坪9.47坪


[RC造/住家用],完工日期:103.08

==============================================
【除當拍外,其餘價格,依(強)規定,各拍次無人買受時,按底價酌減約20%估算】

115年01月13日~1拍底標價【2313.75萬】,保證金約463萬~流標

115年03月10日~2拍底標價【1854萬】,保證金約371萬~流標

115年04月14日~3拍底標價【1484萬】,保證金約297萬~

115年00月00日~4拍預估底標價【1185萬】,保證金約238萬~

歡迎來電~免費登記,為您專業評估~最佳進場時機,完美得標,標的漂亮,標的便宜!
==============================================

■ 介紹 ■ 請點這裡區域報導-掌握本區房市脈動

權狀26.16坪

 

第一拍2131.75萬。每坪單價88.44萬,流標

3月10日第二拍底標價1854萬。每坪單價70.87萬,流標

4月14日第三拍底標價1484萬。每坪單價56.72萬,

第四拍預估底標價1185萬。每坪單價45.29萬,

學區集美國小,三重高中國中部

中興橋重新橋

集美生活圈,

不點交,目前看第四拍的單價比較合理。後續看債權人會不會申請除去租賃關係改為點交?

 

社區實價登錄案例

 

資料來源:內政部不動產交易實價登錄

==============================================

 

【使用情形摘錄】

●點交情形●

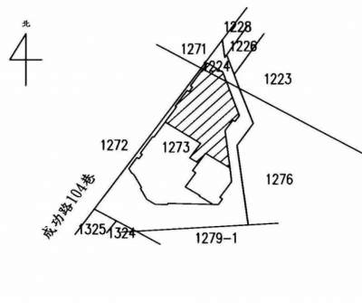
1‧ 民國114年5月12日現場執行時,債務人不在場。據地政人員稱::「1273之1地號位 於門牌成功路104巷7之1號西側三角窗之道路用地」等語。另據警局函復稱建物現有承租人基於租賃關係使用中。1224地號使用分區為商業區、1273地號使用分區為住宅區、127 3之1地號使用分區為道路用地。惟現在實際情形及使用限制(例如:公用地役關係、政 府機關價購、徵收、法定空地)如何,請應買人自行查明注意

2‧ 債權人、債務人、鑑定人、有關機關均未表示建物有海砂屋、輻射屋、地震受創、 嚴重漏水、火災受損、非自然死亡之情事。惟實際情形如何,請應買人自行查明注意。 若有上述情事,請儘速向本院陳報。

3‧ 不點交。
 

==============================================
聯絡方式
服務熱線
022301-6333發 發 發0929-176888
歡迎留言 amanda23331439@gmail.com
line ID 0929176888
吳 小姐 誠摯為您服務!不動產營業員【 國家考試認證 ,地政士、經紀人】


==============================================
  想買法拍屋,卻對法拍市場不甚熟悉!
  看似簡單,卻隱藏著許多陷阱,程序既繁瑣又複雜!
  不論是投資或自住~透過我們,幫您圓夢達成!
  一生或許只有一次機會,敬請把握!

==============================================
服務宗旨:誠信、熱誠、負責
專業把關,買屋有保障,讓您買得安心、輕鬆、便宜!幫您~省錢! 省時! 省力!
保證ü 保證產權清楚 ü 保證交易安全 ü 保證交屋迅速 
專業ü 價格精準評估 ü 競價行情分析 ü 負責全程點交 
用心ü 投標流程解說 ü 排除瑕疵事故 ü 筆錄陷阱分析
服務ü 銀行墊款估算 ü 不動產委買、委賣、產權登記
團隊ü 不動產經理人 ü 代書.律師.點交專員.鎖匠.搬家公司­­­­
您的擔心,我們的專業 ,審慎評估,不負所託如未得標,全程免費!
諮詢拍賣日,當拍價格,程序,手續,拍賣解析,委託標購等~相關事宜
登記免費登記,產權完整調查、分析與計算,依需求配對案件
過濾排除瑕疵屋,輻射、海砂、凶宅、產權不完整之物件
提供法拍屋原始公告、平面圖、地籍圖、謄本、產權過戶
準確洞悉法拍價,市價行情,標價、競價精準評估
說明法拍屋所需成本費用、稅費估算.等
拍定協同法院標購,剖析法院投標現場態樣恭喜得標~賀成交
尾款協商銀行代墊尾款成數,不必擔心7日內需繳清尾款
程序法拍流程處理、陳報狀紙,現住人協商,強制交屋事宜(點交.不點交)
100%全方位服務~讓您買屋沒煩惱~
Happy ending ★☆ 完美和諧交屋 ★☆ Happy ending

租屋資訊
  • 配有設備
  • 租金包含項目
生活機能
  • 公園:
  • 學區:集美國小,三重高中國中部
  • 購物:集美商圈
  • 交通:中興橋,重新橋
社區資料
  • 社區名稱:翔譽A+雙囍特區
  • 管理費:
  • 社區基金餘額:
社會住宅租金
  • 一般戶
  • 第一類政策戶
  • 第二類政策戶
面積資料
  • 公告坪數:26.16坪
  • 土地面積:5.28坪
  • 主建物:13.43坪
  • 附屬:3.26坪
  • 公設:9.47坪
  • 陽台:
  • 車位:
  • 露臺:
  • 地下室:
  • 雨遮:
  • 其他:
  • 增建:
建物資料
  • 建物規畫:地上7層 地下層
  • 本件樓層:6樓
  • 土地格局:面寬公尺 縱深公尺
  • 車位:無車位
  • 門前路寬:
  • 座向:
物件位置
我要提問
輸入確認碼
QRcode

存QR,物件帶著走!

感謝您造訪
若您有任何問題,或需要我們協助的地方
歡迎您與我們連絡
或留下您的資訊,我們將會盡快與您連絡

經紀業:金石房屋
法拍屋-258法拍網-吳小姐
台北市大同區承德路二段215號5樓-2
請洽 0929-176-888
LINE ID: 0929176888

問與答